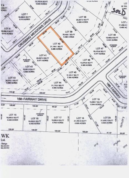
Lot 40 For Sale With Golf Course Access Viroqua WI
Lot 40 Crossing Meaadows Dr, Viroqua, Wisconsin, 54665
Photos
* FOR SALE
$46,000
MLS: 48102-161137
0.49 Acres
What You Should Know
.49 Acres
Country Feel City Amenities
Golf Course Access
Building Lot For New Home
Walk-Out Basement Potential
Why You'll Love It
LOT 40 IS SITUATED THAT A NEW OWNER PLANNING TO BUILD A NEW HOME COULD CONSIDER A WALKOUT LOWER LEVEL IN THE BACK YARD AND A LEVEL DRIVEWAY WITH ZERO ENTRY COMING OFF OF CROSSING MEADOWS DR. CROSSING MEADOWS SUBDIVISION IS VIROQUA'S MOST COMPLETE SUBDIVISION OFFERING MUNICIPAL SEWER AND WATER, PAVED STREETS, CURB AND GUTTER, COUNTRY FEEL AND VIEWS, AND YET CLOSE TO DOWNTOWN. EACH LOT HAS GOLF CART ACCESS TO VIROQUA HILLS GOLF COURSE. PROTECTIVE COVENANTS APPLY TO PROTECT YOUR INVESTMENT.(THERE ARE ''NO'' HOA FEES).
Dan Kiedinger
Broker/REALTOR®/CRS GRI/RENE/CRB/PSA
Dan "The Real Estate Man" has been working with sellers and buyers in the beautiful Driftless Area since 2005. Dan's education, extensive training, and experience make him the ideal Realtor to assist you with buying or selling your real estate property in SW Wisconsin. He has a thorough understanding of contracts, market value, and the many issues that affect properties He is the broker and managing member of United Country-Oakwood Realty, LLC offering national marketing exposure and local expertise. United Country is the only national franchise that specializes in rural America. Dan is involved with the local EAA chapter and is the Young Eagles coordinator introducing youth to the world of aviation and the experience of flight, He has been an active member of Crossfit Viroqua since March of 2021. Dan is very excited about United Country-Oakwood Realty's efforts in launching "Something For Seniors", a community event that raises awareness and gifts at Christmastime for the senior members of our communities living within nursing homes, and memory care and assisted living facilities. If you would like to talk real estate, review your real estate needs, better understand the local market, and determine the value of your property, contact Dan today. Dan is an FAA-licensed commercial remote drone pilot and is a licensed broker in both the states of Wisconsin and Florida.